Дана сторінка описує функціонал управління медичним обладнанням надавача медичних послуг (НМП).
Медичне обладнання – група виробів, що належать до медичних виробів, введених в обіг та/або експлуатацію в Україні, що належать до основних засобів, та використовуються як окремо, так і в поєднанні між собою для надання послуг з медичного обслуговування населення, у тому числі під час діагностичних, терапевтичних та хірургічних процедур.
ЗМІСТ
- Передумови:
- Загальна інформація
- Пошук медичного обладняння.
- Створення медичного обладнання
- Статус запису
- Статус Доступності
- Додаткові можливості
Передумови:
- Користувач повинен бути авторизований в МІС Clinica Web
- Медичний заклад налаштований та активний в ЕСОЗ
- Користувач авторизований в ЕСОЗ через МІС Clinica Web - деталі тут
- Доступ до даного функціоналу доступний для наступних користувачів:
- Працівник відділу кадрів
- Керівник закладу
- Адміністратор надавача
Загальна інформація
Реєстрації та подальшому обліку обовʼязково підлягає усе медичне обладнання, визначене переліком медичного обладнання, що буде затверджений наказом МОЗ. В подальшому дана інформація буде використовуватися Національною службою здоровʼя України під час контрактування. Це дозволить підтверджувати відповідність закладу вимогам Програми медичних гарантій та обґрунтовано укладати договори на надання певних пакетів послуг.

Сторінка керування медичним обладнанням НМП
Відповідальність за внесення даних про медичне обладнання покладається на керівника закладу чи іншого уповноваженого представника, якого призначає керівник. Саме ця особа здійснює реєстрацію обладнання, оновлює інформацію про нього, змінює статус доступності, а також відповідає за актуальність і коректність внесених даних.
Пошук медичного обладняння.
Користувач має можливість шукати медичне обладнанням щоб перевірити його наявність, внести зміни статусу доступності чи статус запису.
Доступні наступні поля для пошуку:
- Назва (зареєстрована чи користува
- Діапазон дати створення
- Тип медичного обладнання
- Номер моделі
- Серійний номер
- Інвентарний номер
- Виробник
- Статус запису
- Статус доступності
- Місце розташування (підрозділ\МНП)
- Співробітник (що вніс запис про обладнання до ЕСОЗ)
Пошук за назвою знаходиться в полі з підписом "Пошук" з лівого верхного боку таблиці:

Діапазон дати створення знаходиться поряд з пошуком, з лівого верхного боку таблиці:

Створення медичного обладнання
Для створення медичного обладнання необхідно натиснути на кнопку "+", як зображено на малюнку:

Після чого розгорнеться форма для заповнення та туди вносимо інформацію про ваше медичне обладнання та після заповнення усіх даних обов'язково натискаємо на кнопку "Зберегти".
Реєстрації та подальшому обліку обовʼязково підлягає усе медичне обладнання, визначене переліком медичного обладнання, що буде затверджений наказом МОЗ.
Приклад

Ця інструкція підготовлена на основі тестових даних і демонструє технічну функціональність системи. Ми компетентні в технічній стороні роботи з інтерфейсом і логікою застосування, проте приклади обладнання наведено виключно для ілюстрації і вони не є рекомендаціями.Розглянемо поля детальніше:
Обов'язкові поля для заповнення позначені "*", всі інші поля вказуються за наявності (необхідності).
- Зареєстрована назва*: - вказується назва медичного обладнання за довідником (інструкцією/керівництвом до даного обладнання);
- Користувацька назва*: - вказується назва медичного обладнання зручна і зрозуміла для користувача;
- Тип* : - з випадаючого списку обирається необхідний тип медичного обладнання (даний перелік надається безпосередньо самим EHealth, тобто список сталий і додавати щось нове немає можливості);
- Серійний номер: необов'язкове поле* серійний номер пристрою - може бути не унікальним
*Для деякого медичного обладнання дане поле є також обов'язковим, наприклад, для типу "апарати штучної вентиляції легень для дорослих":

- Номер закупівлі: необов'язкове поле, вказується унікальний номер у вигляді цифр та літер латиницею;
- Дата виробництва: необов'язкове поле, вказується дата виготовлення даного медичного обладнання (можна прописати вручну або вибрати дату з календаря). Дата неможе бути в майбутньому
- Номер моделі: необов'язкове поле, зазначається номер моделі медичного обладнання;
- Інвентарний номер: необов'язкове поле, вказується номер для ведення обліку медичного обладнання. якщо поле зазначається - воно має бути унікальним для вашого закладу.
- Термін придатності: необов'язкове поле, вказується кінцева дата придатності даного медичного обладнання (можна прописати вручну або вибрати дату з календаря);
- Місце розташування: необов'язкове поле, з випадаючого списку обирається потрібний підрозділ Вашого медичного закладу на якому знаходиться дане обладнання;
- Батьківське обладнання: посилання на батькіське обладнання; вибір із уже попередньо створеного обладнання.
- Примітки та коментарі: необов'язкове поле, можна додатково внести примітку і коментар до даного обладнання (довільний текст);
- Виробник: необов'язкове поле, вказується фізична чи юридична особа, яка виготовила дане медичне обладнання (компанія, бренд і т.д.);
- Статус запису*: підставляється одразу автоматично статус "активний".
- Статус доступності*: підставляється одразу автоматично статус "доступний".
- Співробітник*: підставляється одразу автоматично - вказується поточного співробітника.
Статус запису
- активний - у випадку, коли обладнання може використовуватися;
- неактивний – у випадку, коли обладнання більше не може використовуватися через несправність чи його відсутність (для цього користувач має також встановити статус доступності “пошкоджений”, “зруйнований” чи “втрачений”);
- внесено помилково – у випадку, якщо запис про обладнання було внесено помилково.

Візуалізація можливих переходів статусів обладнання
Змінити статус з "неактивний"/ "внесений помилково" на "активний" не можливо.Зміна статусу
В кожному рядку в переліку обладання, з правого боку знаходиться кнопка додаткового меню керуванням обраного запису.

Статус Доступності
Існують наступні статуси
- доступний: обладнання є доступним та може використовуватись при проведенні процедур чи обстежень;
- пошкоджений: обладнання є пошкодженим та не може використовуватись при проведенні процедур чи обстежень;
- не підлягає відновленню: обладнання повністю знищене та не може використовуватись при проведенні процедур чи обстежень;
- загублений (відсутній): обладнання втрачене або передане в інший заклад/місце надання послуг..
Перехід з статусу в статус необмежений, ви можете змінити в будь який момент на будь-який статус доступності
Зміна статусу доступності
В кожному рядку в переліку обладання, з правого боку знаходиться кнопка додаткового меню керуванням обраного запису.

Звертаємо увагу! Обладнання може бути відремонтовано, і в такому разі користувач може змінити статус доступності на “доступний”.
Якщо обладнання було перенесено на інше місце надання послуг, запис про таке обладнання має бути деактивований. Натомість створюється новий запис зі вказанням нового місця розташування.
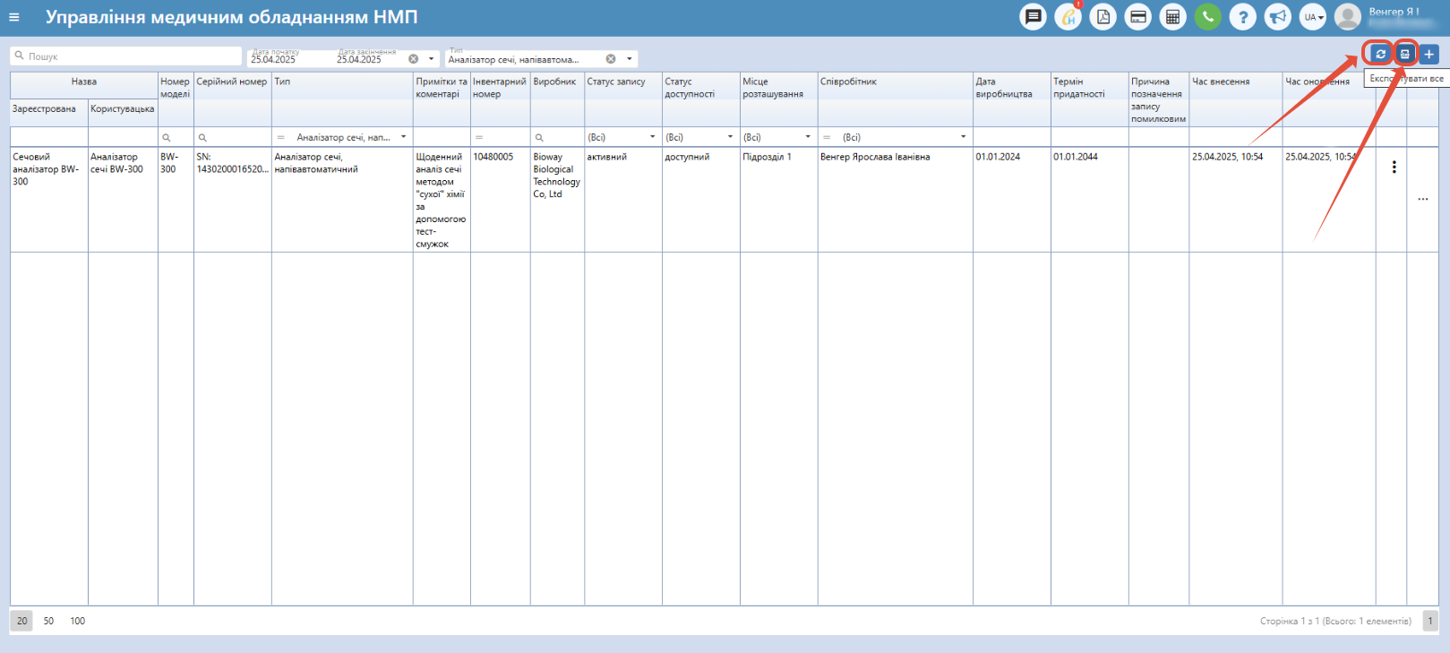
Додаткові можливості
Праворуч біля обладнання є "горизонтальні три крапки" - при натисненні на дану кнопку відобразиться ідентифікатор обладнання і номер закупівлі.
Також зверху праворуч є ще 2 кнопки "Оновити" і "Експортувати все".
- Оновити - оновлює інформацію на сторінці (відображає останні зміни).
- Експортувати все - дозволяє вивантажити дані у Ексель файл.
Також внизу сторінки є перемикачі: ліворуч - кількість стрічок, які можна відобразити на сторінці та праворуч - кількість сторінок, які можна переключати.